

- 微信客服
工作时间 09:00-23:00
湖北省高等教育自学考试课程考试大纲
课程名称:地质学 课程代码:02145
第一部分 课程性质与目标
一、课程性质与特点
本课程是测绘与地质工程技术专业的一门专业课。课程的特点是理论知识丰富并且实践性较强;研究的对象其整体规模宏大、发展过程漫长、地质作用因素复杂。因此,在学习该课程时,要认真观察各种地质标本或野外地质现象,了解和掌握地质学的一般原理和方法。
二、课程目标与基本要求
本课程的教学目标是:使学生初步掌握地质学的基本内容和基本知识,初步形成在地质工程工作中解决实际问题的能力,培养学生科学的认知方法和实事求是的工作方法。
学生通过学习本课程,应达到以下基本要求:
1.了解地球的一般知识,能初步认识和分析各种地质作用过程,了解外动力地质作用形成的主要地貌类型及主要堆积物的基本特点;
2.理解矿物的基础知识;学会观察和描述矿物的方法,掌握常见矿物的主要特征和肉眼鉴定方法,初步认识常见矿物40种;
3.了解三大类岩石的形成过程,学会观察和描述岩石的方法,掌握岩浆岩、沉积岩、变质岩类代表岩石的主要特征和肉眼鉴定方法;认识常见的岩浆岩、沉积岩、变质岩,并能较准确地给岩石定名。
4.了解地层古生物的一般知识,能初步识别常见的古生物化石,能初步运用地史学的基本原理进行地层的划分与对比,初步了解各地质时期的主要地层组合;
5.能初步认识和分析、描述各种地质构造,能阅读和分析一般的地质图件,初步学会常用地质和构造图件的编制方法,掌握岩层产状测量和岩层厚度计算方法。
三、与本专业其他课程的关系
本课程的学习为后续《工程岩土学》、《岩土工程勘察技术》、《专门水文地质学》等课程的学习打下理论基础。
第二部分 考核内容与考核目标
绪 论
一、 学习目的与要求
了解地质学的基本概念、研究对象和研究内容;了解地质学的发展概况及在地质工程中的作用。
二、考核知识点与考核目标
(一)地质学的研究对象;地质学在地质工程中的作用
识记:地质学的研究内容和主要分科。
理解:地质学的研究意义。
(二)了解地质学的概念、内容与分科。
识记:掌握地质学的概念、研究内容,了解地质学的研究方法。
第一章 地球概况
一、 学习目的与要求
了解地球的形态、大小、表面特征;初步掌握地球的主要物理性质;掌握地球的内部圈层构造和年龄;了解组成地壳的化学元素、矿物和岩石的概念。了解地质作用的概念,掌握地质作用的分类。
二、 考核知识点与考核目标
(一)地球的形态、大小及表面形态,地壳的物质组成
识记:了解地球的形状与大小、地壳的物质组成,理解矿物与岩石的概念。
(二)地球的主要物理性质和内部圈层构造
识记:地球密度、重力、磁性、温度的概念,地球内部各圈层构造的名称、划分依据、深度及物质组成等。
理解:掌握地球的密度、重力、磁性、温度的概念及其变化规律;了解地壳、岩石圈、软流圈的物质特征及区别。
应用:重力异常、地磁异常的运用。
(三)地质作用的概念及分类
识记:地质作用的概念及分类依据
理解:掌握地质作用的概念,内、外力地质作用的分类及作用结果。
第二章 矿物
一、 学习目的与要求
了解矿物的化学组成;掌握矿物晶体化学式的书写原则;了解晶体的基本性质与晶格的关系;认识常见的矿物形态特征;熟练掌握肉眼鉴定和描述矿物的方法。具体要求:
1.正确理解类质同象的概念;了解矿物的化学组成类型;
2.了解晶体与非晶质体的概念及其本质区别;
3.认识矿物单体、集合体形态,掌握肉眼鉴定矿物物理性质的方法;
4.了解各大类常见矿物的化学组成、形态及一般特征;
5.学会观察描述矿物形态的方法。掌握40种常见矿物的基本特征
二、考核知识点与考核目标
(一)矿物的形态、光学性质和力学性质,40种常见矿物的肉眼鉴定。
识记:矿物的概念和形态、物理性质等基本知识,肉眼鉴定矿物的方法与步骤。
理解:掌握识别矿物形态、物理性质的基本方法,学会肉眼观察描述矿物的方法(内容)与步骤。
应用:认识40种常见矿物,并能准确的给矿物命名。
(二)矿物的化学组成;类质同象的概念;矿物中水的基本类型;晶体与非晶质体的概念。
识记:矿物的化学成分及类型,类质同象与同质多象的概念及区别,矿物中水的基本类型及书写方式,晶体与非晶质体的概念及本质区别。
理解:了解矿物化学成分类型,掌握类质同象的概念及形成条件,了解晶体化学式的书写规则,掌握晶体的概念及其基本性质。
应用:认识矿物的化学成分类型,学会书写矿物化学表达式。
(三)矿物的分类与命名,各大类常见矿物的化学组成及一般特征。
识记:矿物分类与命名的依据,各大类矿物的化学组成、共同的物理性质及成因产状等。
第三章 岩浆作用与岩浆岩
一、学习目的与要求
了解岩浆岩的化学成分、矿物共生组合规律和鲍文反应序列的内容及意义;掌握岩浆岩的矿物成分、结构和构造的基本特征,并能正确识别主要结构和构造类型;了解岩浆岩分类的基础。初步掌握喷出岩及侵入岩体产状的基本特征。
掌握岩浆岩的分类和命名原则;掌握岩浆岩类代表岩石的鉴别特征;学会肉眼观察、描述、鉴定岩石的方法。
一、 考核知识点与考核目标
(一)岩浆岩的矿物成分和结构、构造,岩浆岩类的分类命名原则及代表岩石的鉴别特征
识记:岩浆岩的矿物组成、结构构造的概念及分类、岩浆岩的分类与命名等
理解:掌握岩浆岩的主要造岩矿物,掌握常见的结构构造类型,掌握岩石的分类命名原则和肉眼识别方法。
应用:岩浆岩的观察描述方法,认识20种代表岩石。
(二)岩浆与岩浆作用、岩浆岩的化学成分、岩浆岩的产状和分类、鲍文反应序列
识记:岩浆与岩浆作用的概念、岩浆岩的化学组成、岩浆岩产状的定义和分类、鲍文反应序列的内容和意义等。
理解:了解岩浆与岩浆作用的概念及其基本特征,掌握岩浆岩的化学成分特征,了解岩浆岩产状及其分类,正确理解鲍文反应序列的内容和意义。
(三)喷出岩和侵入岩的产状、分布及有关矿产,常见的脉岩类型
理解:了解各大岩类的产状、分布及有关矿产或用途,了解脉岩的概念并认识常见的脉岩类型。
第四章 外力地质作用与沉积岩
一、学习目的与要求
(一)了解风化作用和风化壳的概念,掌握风化作用的分类与结果。
(二)了解各种外营力的剥蚀作用、搬运作用、沉积作用及成岩作用的特点与结果。
(三)了解沉积岩的化学成分特征;
(四)掌握沉积岩的矿物成分及其成因分类;
(五)掌握层理构造、层面构造的特征及类型;
(六)掌握各类沉积岩的结构特征和命名方法;
(七)掌握主要沉积岩类型的肉眼鉴定特征,能熟练的描述岩石,并准确的给岩石定名。
二、考核知识点与考核目标
(一)风化作用、河流和海洋的地质作用、沉积岩的构造、各类沉积岩的结构特征和分类命名原则及代表岩石的肉眼鉴定特征等
识记:风化作用的概念、特点与结果;外力地质作用的方式、结果;沉积岩构造的概念、分类及特点;陆源碎屑岩类、泥质岩类、碳酸盐岩类的结构、分类命名及代表岩石的肉眼鉴定特征。
理解:风化作用的概念、基本原理、过程与结果;理解外力地质作用的概念、过程、方式与结果;掌握沉积岩成分、结构、构造的分类、特点及研究意义;陆源碎屑岩类、泥质岩类、碳酸盐岩类的结构、分类命名及代表岩石的肉眼鉴定特征。
应用:沉积岩的观察描述方法,认识15种代表岩石。
(二)沉积岩的物质成分,火山碎屑岩类、硅质岩类的特征,各类沉积岩的水文、工程地质特性
识记:沉积岩的矿物成分,火山碎屑岩类、硅质岩类的成因、分类及岩石特征,沉积岩的水文地质、工程地质特性。
理解:沉积岩的主要组成矿物,颜色的成因及研究意义,沉积岩分类依据,火山碎屑岩类、硅质岩类的成因及岩石特征,沉积岩与水文地质、工程地质的关系等。
应用:认识5种代表岩石。
(三)地下水、冰川、风的地质作用,沉积岩的颜色和沉积岩的分类
识记:沉积岩的概念及形成过程,沉积岩颜色的研究意义和沉积岩的成因分类依据。
第五章 变质作用与变质岩
一、学习目的与要求
(一)理解变质作用和变质岩的概念,了解各种变质作用的特征及区别;
(二)了解岩石发生变质的根本原因和方式;初步掌握温度、压力和流体对原岩的影响;
(三)初步掌握变质岩矿物成分的特征及分类;
(四)掌握变质岩的结构与构造特征;
(五)了解各大类变质岩的形成环境、分布规律及其研究意义;掌握各类变质岩的分类、命名原则和常见岩石类型的岩性特征。
(六)熟练的观察、描述、鉴定岩石,并准确的给岩石定名。
二、考核知识点与考核目标
(一)变质作用和变质岩、变质作用的影响因素、变质岩的矿物成分及结构构造、各大类变质岩的分类、命名原则和常见岩石类型的岩性特征。
识记:变质作用和变质岩的概念、变质岩的矿物组成、结构、构造的概念及分类、变质岩的分类与命名等。
理解:掌握变质岩的主要造岩矿物,结构构造的分类、特征与区别,掌握各大类变质岩石的分类命名原则和肉眼识别方法。
应用:变质岩的观察描述方法,认识20种代表岩石。
(二)变质作用的方式、类型,变质岩的化学成分
识记:各种变质作用的方式、类型,变质岩的化学组成等。
理解:了解各种变质作用方式间的联系与区别,各种变质作用的形成环境、影响因素,变质岩的化学组成。
(三)变质岩的分布
识记:各大类变质岩的形成环境、分布规律及其研究意义。
第六章 地层
一、学习目的与要求
(一)了解化石的形成和地质意义;及主要化石(珊瑚、腕足、头足、三叶虫、笔石动物、古植物)的基本特征。
(二)了解岩石地层、年代地层划分、对比的方法;了解地层单位及地质年代表。
(三)初步了解地质各时代的古生物概况及地层单位划分;
(四)了解各时代地层的主要剖面特征,初步掌握各地质时代的地史特征。
二、考核知识点与考核目标
识记:化石、地层、地层划分与对比、地层单位及地质年代表、各时代地层剖面及地史特征。
理解:化石与地层的概念,地层划分与对比的主要方法、适用范围,年代地层单位和岩石地层单位的概念、等级及各等级间的联系与区别,地质年代表的建立,各时代地层的代表性剖面,地质各时代的地史特征。
应用:地层划分与对比的方法。
第七章 地壳运动与地质构造
一、学习目的与要求
(一)了解地壳运动的概念、方式、表现;
(二)正确理解岩层、地层、层理、整合接触关系、不整合接触关系等基本概念。
(三)初步掌握岩层产状的要素,及各类型的露头形态特征和宽度,岩层的产状要素及表示方法。
(四)学会在水平岩层、倾斜岩层地质图上切制地质剖面图的方法和步骤,并在地质图上求岩层产状和岩层厚度。
(五)了解褶皱的概念,学会识别褶皱,正确理解褶皱存在的标志。
(六)能在地形地质图上认识褶皱、判断褶皱要素的特征、确定褶皱的类型及形成时期;初步掌握褶皱构造描述的内容和方法;学会切制剖面图。
(七)了解节理的概念及其主要类型的特征。
(八)了解断层的概念及其基本要素,掌握断层的分类原则及主要断层类型的特征。
(九)理解断层存在的标志,学会阅读分析断层地质图和编制地质剖面图的方法。
(十)了解地震震级和烈度、地震的成因类型及地震的分布
二、考核知识点与考核目标
(一)褶皱、断层的识别标志。
识记:褶皱、断层
理解:褶皱与断层的概念、基本要素、分类和基本类型的特征、识别标志等。
应用:学会阅读地质图上的褶皱、断层和编制地质剖面图的方法,掌握褶皱、断层构造的描述内容和方法。
(二)岩层产状、地层接触关系、阅读地质图并切制地质剖面图、节理
识记:地层接触关系、岩层的产状要素、地质图、节理。
理解:地层接触关系的概念、类型及特征,岩层的产状要素及表示方法,水平、倾斜和垂直岩层的露头形态特征与宽度,阅读地质图并切制地质剖面图,节理的概念及其主要类型等。
应用:岩层产状要素的测定、学会阅读地质图并切制地质剖面图。
(三)地壳运动、地震作用
理解:地壳运动的概念与表现形式,板块构造学说,地震的震级、烈度、成因类型及分布。
第三部分 有关说明与实施要求
一、 考核的能力层次表述
本大纲在考核目标中,按照“识记”、“理解”、“应用”三个能力层次规定其应达到的能力层次要求。各能力层次为递进等级关系,后者必须建立在前者的基础上,其含义是:
识记:能知道有关的名词、概念、知识的含义,并能正确认识和表述,是低层次的要求。
理解:在识记的基础上,能全面把握基本概念、基本原理、基本方法,能掌握有关概念、原理、方法的区别与联系,是较高层次的要求。
应用:在理解的基础上,能运用基本概念、基本原理、基本方法联系学过的多个知识点分析和解决有关的理论问题和实际问题,是最高层次的要求。
二、 教材
1、 指定教材
《地质学基础》,地质出版社,韩运宴、罗刚、徐永齐编,2007年版
2、 参考教材
《地质学基础》,宋春青等主编,高等教育出版社,2002版
《地质学概论》,叶俊林等主编,地质出版社,1996版
三、 自学方法指导
1、 在开始阅读指定教材某一章之前,先翻阅大纲中有关这一章的考核知识点及对知识点的能力层次要求和考核目标,以便在阅读教材时做到心中有数,有的放矢。
2、 阅读教材时,要逐段细读,逐句推敲,集中精力,吃透每一个知识点,对基本概念必须深刻理解,对基本理论必须彻底弄清,对基本方法必须牢固掌握。
3、 在自学过程中,既要思考问题,也要做好阅读笔记,把教材中的基本概念、原理、方法等加以整理,这可从中加深对问题的认知、理解和记忆,以利于突出重点,并涵盖整个内容,可以不断提高自学能力。
4、 完成书后作业和适当的辅导练习是理解、消化和巩固所学知识、培养分析问题、解决问题及提高能力的重要环节,在做练习之前,应认真阅读教材,按考核目标所要求的不同层次,掌握教材内容,在练习过程中对所学知识进行合理的回顾与发挥,注重理论联系实际和具体问题具体分析,解题时应注意培养逻辑性,针对问题围绕相关知识点进行层次(步骤)分明的论述或推导,明确各层次(步骤)间的逻辑关系。
四、 对社会助学的要求
1、 应熟知考试大纲对课程提出的总要求和各章的知识点。
2、 应掌握各知识点要求达到的能力层次,并深刻理解对各知识点的考核目标。
3、 辅导时,应以考试大纲为依据,指定的教材为基础,不要随意增删内容,以免与大纲脱节。
4、 辅导时,应对学习方法进行指导,宜提倡“认真阅读教材,刻苦钻研教材,主动争取帮助,依靠自己学通”的方法。
5、 辅导时,要注意突出重点,对考生提出的问题,不要有问即答,要积极启发引导。
6、 注意对应考者能力的培养,特别是自学能力的培养,要引导学生逐步学会独立学习,在自学过程中善于提出问题,分析问题,做出判断,解决问题。
7、 要使考生了解试题的难易与能力层次高低两者不完全是一回事,在各个能力层次中会存在着不同难度的试题。
8、 助学学时:本课程共6学分,建议总课时108学时,其中助学课时分配如下:
章 次 | 内 容 | 学 时 |
第1章 | 绪论 | 3 |
第2章 | 地球概况 | 5 |
第3章 | 矿物 | 18 |
第4章 | 岩浆作用与岩浆岩 | 12 |
第5章 | 外力地质作用与沉积岩 | 22 |
第6章 | 变质作用与变质岩 | 10 |
第7章 | 地层 | 7 |
第8章 | 地壳运动与地质构造 | 31 |
合 计 | 108 | |
五、 关于命题考试的若干规定
1、 本大纲各章所提到的内容和考核目标都是考试内容。试题覆盖到章,适当突出重点。
2、 试卷中对不同能力层次的试题比例大致是:“识记”为 20%,“理解”为30%,“应用”为 50%。
3、 试题难易程度应合理:易、较易、较难、难比例为2:3:3:2。
4、 每份试卷中,各类考核点所占比例约为:重点占65%,次重点占25%,一般占10%。
5、 试题类型一般分为:单项选择题、填空题、判断题、判图题、简答题。
6、 考试采用闭卷笔试,考试时间150分钟,采用百分制评分,60分合格。
六、题型示例
(一)单选题:
1.具有格子构造的固体称( )
A、矿物; B、晶体; C、非晶质体。
2.某岩石含粘土矿物>95%,具泥质结构,块状构造,应定名为( )。
A、泥岩; B、泥质岩; C、粘土岩。
(二)填空题:
1.按矿物的化学成分,可将岩浆岩的造岩矿物分为( )和( )两大类,前者包括( )。
(三)判断题
1.自古就有“桂林山水甲天下”之美誉,这主要得益于该地具有长期而强烈的物理风化作用。 ( )
(四)判图题
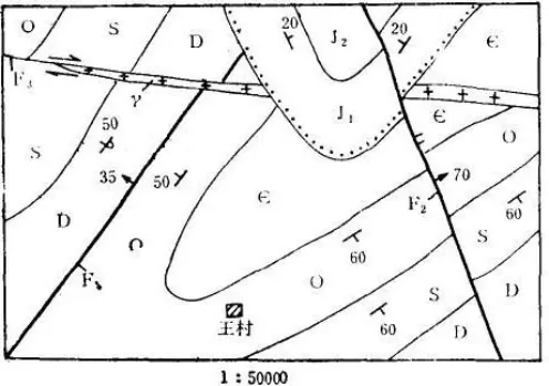
1.请分析图1中的构造特征,包括褶皱、断层、岩浆岩、地层接触关系等,并确定断层性质。
图1 王村地区地质图
(五)简答题
1.简述峡东地区震旦纪的地史特征。


工作时间 09:00-23:00